Nous vous proposont à l'achat en EXCLUSIVITÉ AICO, un terrain à bâtir à BERCK PLAGE !
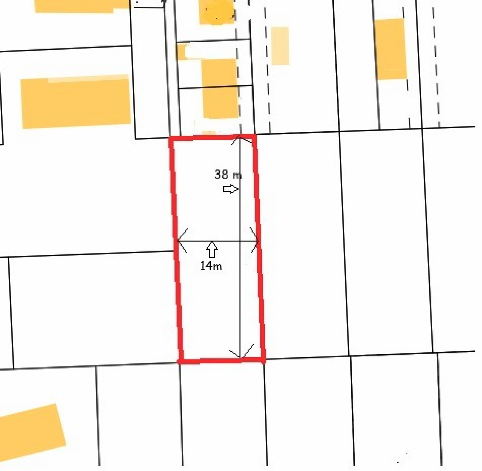
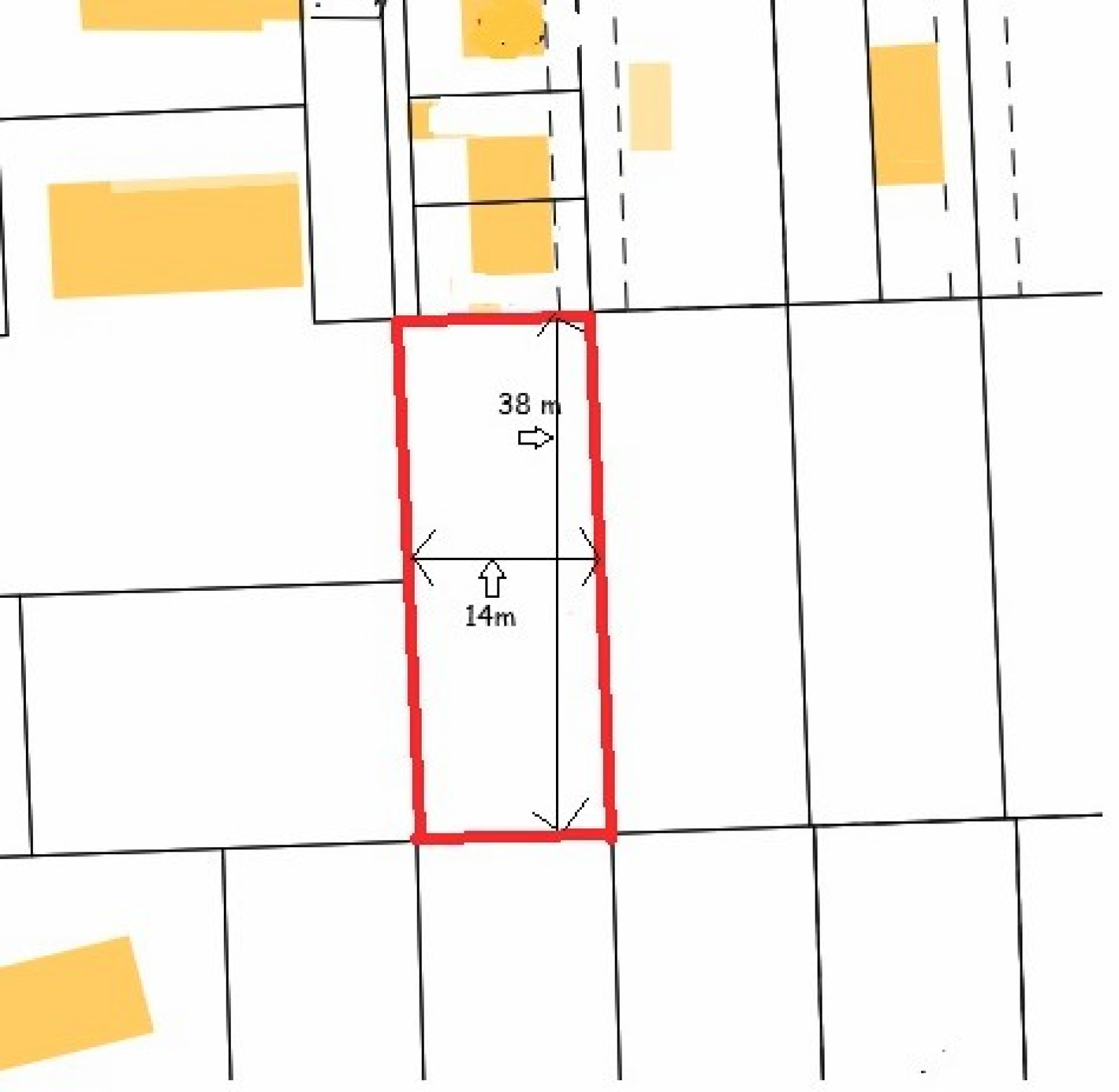
 Situé au calme, en retrait de la route et à seulement 1 km de la plage, ce terrain plat de 546 m² offre un cadre idéal pour votre projet de construction.
- 
Exposition plein SUD à l’arrière : profitez d’un ensoleillement optimal 
- 
CU opérationnel favorable : prêt pour votre future maison 
- 
Emplacement recherché, au calme 
Prix : 117 700 €
Une opportunité exceptionnelle pour créer votre résidence principale ou secondaire à Berck-sur-Mer. Ne tardez pas !
Mandat par délégation du groupe AICO (Agences Immobilières en Côte d'Opale)
 
                 
                                         
                                         
                                         
                                         
                                     
                                     
                                     
                                     
                                 
                                 
                                 
                                 
             
                                                